Skip to main content
U.S. flag

An official website of the United States government.

Petition - Docket No. M-2007-012-C

Lapse in Appropriations

For workplace safety and health, please call 800-321-6742; for mine safety and health, please call 800-746-1553; for Job Corps, please call 800-733-5627 and for Wage and Hour, please call 1-866-487-9243 (1 866-4-US-WAGE).  This website is currently not being updated due to the suspension of Federal government services. The last update to the site was 10/1/2025.  Updates to the site will start again when the Federal government resumes operations.

October 23, 2007

 

In the matter of: Petition for Modification Eighty Four Mining Company

Mine 84

I.D. No. 36-00958 Docket No. M-2007-012-C PROPOSED DECISION AND ORDER

On March 19, 2007, a petition was filed seeking a modification of the application of 30 C.F.R. § 75.364(b)(2) to Petitioner's Eighty Four Mine, located Washington County, Pennsylvania.

 

The Petitioner alleges that application of this standard will result in a diminution of safety to the miners. Petitioner also alleges that the alternative method proposed in the petition will at all times guarantee no less than the same measure of protection afforded by the standard without unnecessarily exposing the miners to hazardous conditions.

 

MSHA personnel conducted an investigation of the petition and filed a report of their findings and recommendations with the Administrator for Coal Mine Safety and Health. After a careful review of the entire record, including the petition and MSHA's investigative report, this Proposed Decision and Order is issued.

 

Finding of Fact and Conclusion of Law

 

The petitioned standard, 30 C.F.R. § 75.364, Weekly examination, states, in part

 

(b) Hazardous conditions. At least every 7 days, an examination for hazardous conditions at the following locations shall be made by a certified person designated by the operator:...(2) In at least one entry of each return aircourse in its entirety, so that the entire aircourse is traveled.

 

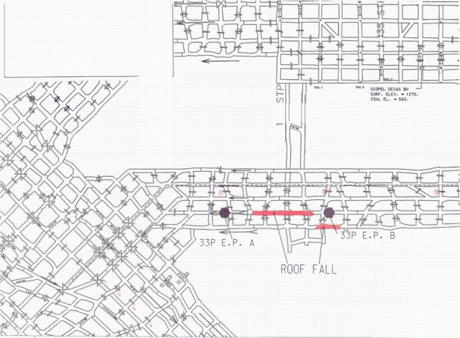
The petitioner alleges approximately 400 feet of return aircourse, from 33P E.P. A to 33P E.P. B as shown on the attached map “33P Return Airway Evaluation Points” (Exhibit A), have become unsafe for mine examiners to travel. In addition, the proposed alternative method of having a certified person

 

take weekly air quantity and quality measurements at monitoring stations 33P E.P. A and 33P E.P. B, as shown on the attached map, at the beginning and end of the unsafe-to-travel aircourse segment will provide the same measure of protection as the standard.

 

MSHA’s investigation confirmed that approximately 400 feet of the return aircourse has deteriorated roof and roof falls, rendering the aircourse unsafe for travel and essentially impractical to rehabilitate. The investigation also confirmed that the inlet and outlet monitoring points were accessible and would provide safe and effective monitoring locations.

 

Application of 30 C.F.R. § 75.364(b)(2) to the subject mine will result in a diminution of safety to the miners and the special terms and conditions set out below will at all times provide a safe work environment to the miners.

 

On the basis of the petition and the findings of MSHA's investigation, Eighty Four Mining Company is granted a modification of the application of 30 C.F.R. § 75.364(b)(2) to its Eighty Four Mine.

 

ORDER

 

Wherefore, pursuant to the authority delegated by the Secretary of Labor to the Administrator for Coal Mine Safety and Health, and pursuant to Section 101(c) of the Federal Mine Safety and Health Act of 1977, 30 U.S.C. § 811(c), it is ordered that Eighty Four Mining Company’s Petition for Modification of the application of 30 C.F.R. § 75.364(b)(2) in the Mine 84 is hereby:

 

GRANTED, for the examination of approximately 400 feet of unsafe-to-travel return air course from 33P E.P. A to 33P E.P. B.

 

  1. Two monitoring stations (33P E.P. A and 33P E.P. B) shall allow effective evaluation of airflow through the return aircourse.

     

    1. Evaluation point 33P E.P. A on the downwind side of the bad roof area as shown on Exhibit A shall monitor the air exiting the petitioned aircourse.

       

    2. Evaluation point 33P E.P. B on the upwind side of the bad roof area as shown on Exhibit A shall serve to monitor air entering the petitioned area.

       

  2. Signs showing the safe travel route to each monitoring station shall be conspicuously posted in an adjacent travel entry. The monitoring stations and routes of travel to the monitoring stations shall be kept free of water accumulations.

     

  3. A certified person shall conduct weekly evaluations at each of the monitoring stations. These evaluations shall include the quantity and quality of air entering or exiting the monitoring station. Evaluations shall also include a determination of the aircourse's leakage, defined and measured as stated in Paragraph 8 below. These air measurements shall be made using MSHA-approved and calibrated hand-held multi-gas detectors to check the methane and oxygen gas concentrations and appropriate, calibrated anemometers to check airflow volume.

     

  4. A diagram showing the normal direction of the airflow shall be posted at the monitoring stations. The diagram shall be maintained in legible condition and any change in airflow direction shall be reported to the mine foreman for immediate investigation.

     

  5. The date, initials of the examiner, time, and the measured quantity and quality of air shall be recorded in a book or on a date board that shall be provided at the monitoring stations. Such results, including the condition of the accessible permanent ventilation controls creating the aircourse, shall also be recorded in a book kept on the surface and made accessible to all interested parties.

     

  6. All monitoring stations and approaches to monitoring stations shall, at all times, be maintained in a safe condition. The roof shall be adequately supported by roof bolts or other suitable means to prevent deterioration of the roof in the vicinity of the stations.

     

  7. Methane gas or other harmful, noxious, or poisonous gases shall not be permitted to accumulate in excess of legal limits for return air. An increase of 0.5 percent methane above the last previous methane reading or a 10 percent change in airflow quantity shall cause an immediate investigation of the affected area. The results of the investigation shall be immediately reported to the mine foreman.

     

  8. The aircourse's initial leakage shall be determined during the first evaluation following implementation of this modification. Leakage is defined as the discrepancy between the air quantity entering and exiting the aircourse, as measured at the monitoring stations. A 10 percent change from the initial leakage in the aircourse shall cause immediate examination of all permanent ventilation structures. Damaged stoppings or other ventilation structures shall be repaired or replaced to minimize leakage. Following repairs, a new “initial leakage” shall be determined and serve as the basis for subsequent evaluations.

     

  9. The monitoring station locations shall be shown on the annually submitted mine ventilation map. The stations shall not be moved to another location without prior approval by the District Manager as a part of the Ventilation Plan for the mine.

     

  10. Prior to implementing this modification, all mine personnel shall be instructed that, except along designated routes, no travel into the petitioned area shall be permitted and all other approaches shall be fenced off or barricaded with "DO NOT ENTER" warning signs. Entry in the area shall be permitted only to conduct investigations and correct problems with airflow detected through the monitoring process and all such work will be done under the supervision of an authorized person. All persons who work in the area shall be instructed in the emergency evacuation procedures and all provisions of 30 C.F.R. §§ 75.1502, 75.1504, and 75.1505.

     

  11. Within 60 days after this Proposed Decision and Order becomes final, the Petitioner shall submit proposed

 

revisions for its approved 30 C.F.R. Part 48 training plan to the Coal Mine Safety and Health District Manager. These proposed revisions shall include initial and refresher training regarding compliance with this Proposed Decision and Order.

 

Any party to this action desiring a hearing on this matter must file in accordance with 30 C.F.R. § 44.14, within 30 days. The request for hearing must be filed with the Administrator for Coal Mine Safety and Health, 1100 Wilson Boulevard, Arlington, Virginia 22209-3939. If a hearing is requested, the request shall contain a concise summary of position on the issues of fact or law desired to be raised by the party requesting the hearing, including specific objections to the proposed decision. A party other than Petitioner who has requested a hearing shall also comment upon all issues of fact or law presented in the petition, and any party to this action requesting a hearing may indicate a desired hearing site. If no request for a hearing is filed within 30 days after service thereof, the Decision and Order will become final and must be posted by the operator on the mine bulletin board at the mine.

 

 

Terry L. Bentley

Acting Deputy Administrator for Coal Mine Safety and Health

E I GHTY FOUR M I N I NG COMP A N Y

33P Return A i rway Evo l uot i on Poi nts

Feb . 2 7 , 2 007

Sca l e: 1 " = 200'

v

 

. '-----'

 

0

'tj-

 

Exhibit A

 

- 20 0 1- 012 -c